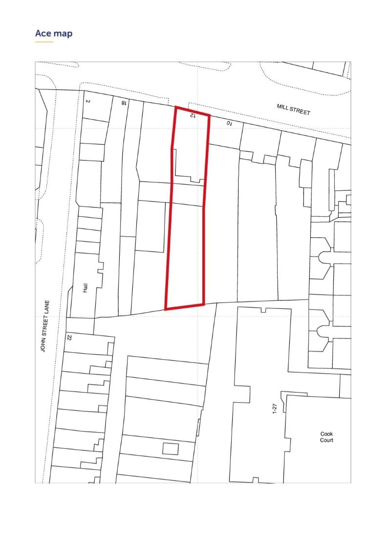
Lot 23 - Tower Inn, 12 Mill Street, Newtownards, County Down, BT23 4LU

  • Unconditional Online Auction Sale
  • Guide Price* : £35,000
  • Bedrooms: 0
  • Two Storey Former Public House
  • Extensive Site Extending to circa 4,485 sq ft
  • Prominent Town Centre Location

Location

Tower Inn is prominently located at 12 Mill Street in the heart of Newtownards, a bustling market town in County Down. Mill Street forms part of the town’s historic centre and benefits from strong footfall, providing excellent visibility and accessibility. The property is within easy walking distance of a wide range of local amenities, including shops, restaurants, cafes, and leisure facilities, as well as key public transport links connecting Newtownards to Belfast, Bangor, and the wider region. The surrounding area features a mix of retail, hospitality, and professional services, making this a highly visible and well-connected location for both local patrons and visitors.

Description

This is a traditional two-storey public house constructed beneath a timber pitched roof finished in slate. The ground floor provides a classic public bar and adjoining lounge area, arranged to accommodate a range of trading styles, with ladies’ and gents’ toilet facilities located to the rear.

The first floor features a further lounge bar, accessed via internal stairs from the ground floor, offering accommodation suitable for private functions or extended trading use.

The property occupies an extensive site extending to approximately 0.1 acres (circa 4,485 sq ft), providing a substantial footprint within its setting and potential for a variety of operational or future uses, subject to the necessary consents.


* No information, statement, description, quantity or measurement contained in any sales particulars, or given orally, or contained in any webpage, brochure, catalogue, email, letter, report, docket or hand out, issued by or on behalf of BRG Gibson Auctions Ltd, or the vendor in respect of the property shall constitute a representation, or a condition or a warranty on behalf of BRG Gibson Auctions Ltd, or the vendor. Any information, statement, description, quantity or measurement so given or contained in any such sales particulars, webpage, brochure, catalogue, email, letter, report or hand out issued by or on behalf of BRG Gibson Auctions Ltd, or the vendor are for illustration purposes only and are not to be taken as matters of fact. Any mistake, omission, inaccuracy or mis-description given orally, or contained in any sales particulars, webpage, brochure, catalogue, email, letter, report or hand out issued by or on behalf of BRG Gibson Auctions Ltd, or the vendor shall not give rise to any right of action, claim, entitlement or compensation against BRG Gibson Auctions Ltd, or the vendor. All bidders must satisfy themselves by carrying out their own independent due diligence, inspections or otherwise as to the correctness of any and all of the information, statements, descriptions, quantity or measurements contained in any such sales particulars, webpage, brochure, catalogue, email, letter, report or hand out issued by or on behalf of BRG Gibson Auctions Ltd, or the vendor.

Loading the bidding panel...

Make an Enquiry

Submit an enquiry and someone will be in contact shortly.

 
*  
*  
*
*
*

Share